Commercial
More from realestate.co.nz:
Agents News

Land for sale!

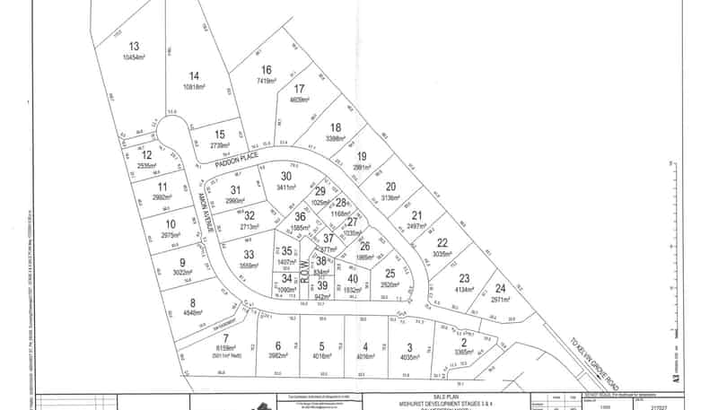
90-106 Midhurst Street, Kelvin Grove

Industrial Land
dollar

Negotiation

On this page:

Map

Property details

Listing # BC100273 | Listed on 9 December 2022

Within the city boundary, we have a new industrial sub-division. A variety of section sizes are available for sale ranging in size from 986m2 up to, 7,728m2.

Titles are expected approximately by June 2024. However, expressions of interest and contracts are being accepted, be quick.

Price on application.





Your notes
Add notes for your personal reference. This can only be seen by you.
Contact the agent
Name  (required)
Email  (required)
Phone
I'd like to enquire about:
Your message
A young family with pets illustration